$168,000
$178,400
5.8%For more information regarding the value of a property, please contact us for a free consultation.
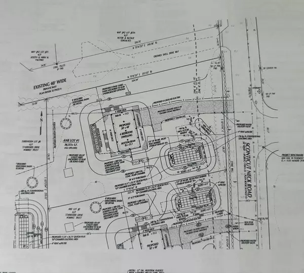
0 Sconticut Neck Road Fairhaven, MA 02719
0.69 Acres Lot
Key Details
Sold Price $168,000
Property Type Vacant Land
Sub Type Residential
Listing Status Sold
Purchase Type For Sale
MLS Listing ID 73398773
Sold Date 08/08/25
HOA Fees $75
HOA Y/N true
Lot Size 0.690 Acres
Acres 0.69
Property Sub-Type Residential
Property Description
Wonderful opportunity to build your coastal dream home with private beach access. Beach is in walking distance from your front door. Claim this rare opportunity to build on the far southern end of majestic Fairhaven's Sconticut Neck. Approved 4 bedroom septic system design. Easement for easy access to Starboard Drive to enjoy all your beach access.
Location
State MA
County Bristol
Zoning RR
Direction Lot located across from Goulart Memorial Drive. the entrance to West Island. Labled ANR Lot 1.
Exterior
Community Features Shopping, Walk/Jog Trails
Waterfront Description Walk to,0 to 1/10 Mile To Beach,Beach Ownership(Association)
Building
Lot Description Level
Sewer Private Sewer
Water Public
Others
Senior Community false
Read Less
Want to know what your home might be worth? Contact us for a FREE valuation!

Our team is ready to help you sell your home for the highest possible price ASAP
Bought with The Ponte Group • Keller Williams South Watuppa





